Джорджия и Флорида массово эвакуируются из-за урагана "Дориан"

Президент США Дональд Трамп заявил, что он может стать самым мощным за последние десятилетия.
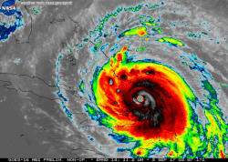
Ураган "Дориан" самой сильной, пятой, категории накрыл Багамские острова, и жители архипелага начали делиться видео. Они снимают мощные потоки дождя, улицы-реки и деревья, гнущиеся под сильным ветром.
WATCH: Damage on the Abaco Islands while the eye of Hurricane Dorian passes over pic.twitter.com/KzdgwvcXa4
— BNO News (@BNONews) September 1, 2019
Некоторые жители островов показывают первые разрушения: вырванные стволы, перевёрнутые автомобили.
Губернатор американского штата Джорджия Брайан Кемп сообщил об эвакуации в прибрежных округах из-за урагана "Дориан", заявление он опубликовал в своём твиттере.
— Люди, живущие к востоку от [автомагистрали] I-95 в округах Чатем, Брайан, Макинтош, Либерти, Глинн и Камден, должны в обязательном порядке эвакуироваться, начиная с 12:00 (19:00 мск. — Прим. Лайфа) в понедельник, — уточняется в заявлении.
В свою очередь, губернатор Флориды Рон Де Сантис также объявил эвакуацию из большинства прибрежных округов из-за надвигающегося урагана, следует из заявления, размещённого на сайте губернатора.
В округах Флориды Индиан-Ривер, Сент-Джонс и Дувал эвакуация начнётся в 8:00 в понедельник (15:00 мск), в округе Волуси — с 10:00 (17:00 мск). В округах Бревард, Палм-Бич, Сент-Луси, Нассо и Мартин приказ об обязательной эвакуации уже действует. Ещё в семи округах проводится добровольная эвакуация.
Для содействия вывозу граждан губернатор приказал не взимать плату за проезд на некоторых платных дорогах штата.
Согласно последним данным, "Дориан", который сформировался над водами Атлантики, усилился до максимальной категории по шкале Саффира — Симпсона. Стихия движется к побережью со скоростью около 2,2 м/с.
Awestruck by Hurricane Dorian.
— Dakota Smith (@weatherdak) September 2, 2019
Extraordinary visuals of lightning in a powerful, powerful storm. pic.twitter.com/534EzvgI8H
Hurricane Dorian arriving on Abaco with 180mph winds... pic.twitter.com/DnsoKsF046
— Bahamas Press (@Bahamaspress) September 1, 2019
Abaco residents taking a Sunday Drive as 180mph Dorian makes landfall in Abaco. pic.twitter.com/cawaPO5lkB
— Bahamas Press (@Bahamaspress) September 1, 2019
Новостной сайт E-News.su | E-News.pro. Используя материалы, размещайте обратную ссылку.
Оказать финансовую помощь сайту E-News.su | E-News.pro
Если заметили ошибку, выделите фрагмент текста и нажмите Ctrl+Enter (не выделяйте 1 знак)









