Кошачье ухо необандеровского неонацизма. Владимир Скачко
Когда на форуме «Валдай» президента России Владимира Путина спросили, как может быть остановлен процесс превращения Украины в «анти-Россию», он ответил честно: «Я, наверное, вас разочарую. Я не знаю ответа на этот вопрос». Хотя ранее он признавал, что такой процесс идет семимильными шагами.
При этом Путин довольно четко охарактеризовал происходящее в Украине:
«…Жители Украины даже боятся отвечать на соцопросы, потому что страной руководит небольшая группа людей крайних политических взглядов, которая присвоила себе «лавры победителей в борьбе за независимость. Это такой тупик. Я не очень понимаю, как из него можно выйти. Ну, посмотрим, что будет происходить на внутриполитической сцене Украины в ближайшее время».
А что там, в Украине, может происходить? Ничего умного и хорошего. Ну могут назвать или переименовать улицу в «тупик имени Бандеры». Потому что бандеризация Украины, неонацификация и фашизация ее идут семимильными шагами. Под присмотром неонацистов необандеровского толка, если быть уж совсем политологически точным.
Взять хотя бы два крайние события (именно крайние, потому что точно не последние) на эту тему. В Верховной Раде, в Высшем законодательном органе страны часть депутатов из партии «Евросолидарность» (ПЕС) экс-президента Петра Порошенко спела песню «Бандера – наш батько». Отец у них, значит, такой. И пели ее даже евреи по национальности, те, чьих единокровных предков эти самые бандеровцы азартно уничтожали в рамках «окончательного решения еврейского вопроса». С именем «батька» на устах.
А Совет нацбезопасности и обороны (СНБОУ) как бы презентовал словарь терминов и определение, которые «самая древняя нация Европы», должна использовать в обычной жизни, чтобы разжигать в себе русофобию – сердцевину и бандеровского, и необандеровского учений. В словаре фактически запрещено упоминание о Великой Отечественной войне, в которой и было покончено с бандеровцами с оружием в руках и бандеризмом в головах. Но словарь этот – государственная политика. В его подготовке и выпуске принимали участие Офис президента Украины, Представительство президента Украины в Автономной Республике Крым, министерство обороны Украины, министерство иностранных дел Украины, министерство культуры и информационной политики Украины, министерство по вопросам реинтеграции временно оккупированных территорий Украины, министерство внутренних дел Украины, Офис Генерального прокурора, Служба безопасности Украины, служба внешней разведки Украины, Главное управление разведки Министерства обороны Украины и Государственная пограничная служба Украины.
Вот и получился высе.., пардон, выброс так называемого коллективного государственного разума в условия тотального уничтожения психиатрии в стране под видом реформ. Вот уж действительно: мягкотелость санитаров из дурдома – серьезный удар по психическому здоровью если и не всей нации, то уж точно ее правящей элиты (не к ночи будет сказано о нынешней).
И только за последние семь дней по здоровью этой самой нации были нанесены два мощнейших «бандеровских удара». В Киеве был открыт памятный крест в честь этого, с позволения сказать, политика, который не только в Киеве ни разу не был, но и вообще гражданином Украины никогда не являлся.
А потом в Украине был презентован виртуальный музей российской агрессии, который как бы показывает факты нарушений Россией территориальной целостности страны и призван защищать ее на фронте «фальсификаций и фейков».
«Этот проект собирает и наглядно иллюстрирует факты нарушений Россией территориальной целостности нашего государства. Подробно знакомит с 20 кейсами, связанными с оккупацией Крыма. Нам нужно виртуально защищать себя, потому что война идет на разных фронтах, в том числе, на фронте фальсификаций и фейков. Экспозиция о преступлениях в Крыму – только начало. Далее в планах – кейсы об оккупации Донбасса… Фактически, Виртуальный музей российской агрессии упростит работу в части доказательной базы по аннексии Крыма», – обосновал свое творение его инициатор, министр культуры и информационной политики Александр Ткаченко с погонялом «Сяся».
По его мнению, такие проекты являются частью реализации стратегии информационной безопасности Украины. Но Ткаченко так и не сказал о том, что он курит или какие таблетки помогают ему окончательно не сойти с ума. А может, уже и не помогают…
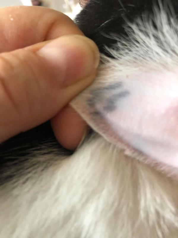
Но для многих в этом плане несомненно вишенкой на торте и подтверждением того, как заразно безумие, явилась летняя новость их Херсона. Там, как сообщила зоозащитница Елена Таран в своем «Facebook», на улице заметили кошку со свастикой на одном ухе и с эсэсовскими молниями-рунами – на другом. Кто-то изловил бедное животное и расписался у нее на ушах в собственном неизбывном политическом выборе.

Конечно же, у многих сразу возник главный вопрос: кто из них, собственно, животное?
«Беззащитная кошка весит всего полтора килограмма. Малюсенькая, худюсенькая с разъехавшимися в стороны глазами, она ходила со двора на рынок, к остановке, чтобы попросить себе еду. … Они сделали ей татуировку фашистского символа. Не на заборе, не у себя на лбу, а на ушках маленького существа! Это разве смешно?», – недоумевала Елена.
И рассказала, что бездомное животное пыталось поселиться в нескольких подъездах, но его оттуда выгоняли.
Позже у кошки появились котята и неравнодушные люди занялись поиском дома для семейства. И сколько я ни пытался выяснить, так нашли дом или нет, ничего не получилось. Появилась только информация, что кошку стерилизовали. Как по мне, главный вопрос «Кто животное?» так и остался без ответа.
И не только в Херсоне. Но зато понятно, почему так прижилась русофобия в Украине. Нацисты никак не могут простить того, что с ними сделали те, кто воевал в Великую Отечественную войну, которой сегодня как бы нет. Но победители-то были: в Красной Армии-победительнице воевали около 7 миллионов украинцев, приблизительно 23% от общей численности Вооруженных сил СССР. И общие потери Красной Армии составили 8–9 млн чел., в том числе 3,5-4 млн чел. украинцев. И слава Богу, что они не услышат, что они – не победители. Источник
Новостной сайт E-News.su | E-News.pro. Используя материалы, размещайте обратную ссылку.
Оказать финансовую помощь сайту E-News.su | E-News.pro
Если заметили ошибку, выделите фрагмент текста и нажмите Ctrl+Enter (не выделяйте 1 знак)









