Последний полёт Юрия Гагарина
В конце марта 1968 года мир был потрясён известием о гибели в авиакатастрофе Юрия Алексеевича Гагарина. В адрес советского правительства и народа, родственников и друзей космонавта посыпались соболезнования.
Расследование чрезвычайного происшествия проводилось с привлечением крупнейших специалистов, однако вопреки ожиданиям его результаты не были опубликованы. В обществе начали циркулировать слухи, которые породили множество версий трагедии: от прозаичных до фантастичных. И даже сегодня, после рассекречивания многих документов, гибель Гагарина остаётся одной из тайн ХХ века.
Зачётный вылет
После исторического полёта на орбиту 12 апреля 1961 года жизнь Юрия Алексеевича Гагарина стала очень насыщенной. Он давал бесконечные интервью, совершал поездки по советским городам и странам мира, выступал на всевозможных митингах и торжественных мероприятиях, занимался общественно-политической деятельностью, участвовал в тренировках друзей-сослуживцев и военных программах освоения околоземного пространства, готовился к экспедиции на Луну и учился в Военно-воздушной инженерной академии.
Будни, типичные для советского офицера, отошли для Гагарина на второй план. Среди прочих наград он удостоился квалификации военного лётчика первого класса, хотя по реальному опыту мог претендовать только на третий класс (до 1960 года его общий налёт на реактивном истребителе был невелик — 247 часов 49 минут).
Высокий статус в авиационной среде требовал от космонавта поддержания навыков, что, к сожалению, у него не всегда получалось. Согласно рассекреченным документам, в 1961, 1962 и 1964 годах он на истребителе не летал даже с инструктором, в 1963 году налёт составил 7 часов, в 1965 году — 40 часов 30 минут, в 1966 году — 46 часов.
После того как в апреле 1967 года на «Союзе-1» погиб Владимир Михайлович Комаров, Гагарина, который был его дублёром, отстранили от подготовки к будущим космическим полётам, поэтому он решил по-настоящему заняться авиацией. Генерал-лейтенант Николай Петрович Каманин, курировавший отряд космонавтов, записал в дневнике:
Задачу космонавт принял к сведению, но продолжал летать с инструкторами на УТИ МиГ-15. В августе он совершил девять полётов общей продолжительностью 4 часа 45 минут, в ноябре — ещё девять продолжительностью 3 часа 17 минут.

Заместитель начальника Центра подготовки космонавтов Юрий Гагарин в своём рабочем кабинете. Звёздный городок, 1968 год
РГАНТД. Арх. №0-767цв
Надо сказать, что в то время Гагарин, помимо прочего, занимал должность заместителя начальника Центра подготовки космонавтов (ЦПК ВВС), но выход на «финишную прямую» перед защитой дипломного проекта вынудил его отказаться от привычных дел. Последний полёт он совершил 27 ноября, а 2 декабря подал рапорт своему непосредственному начальнику генерал-майору Николаю Фёдоровичу Кузнецову с просьбой освободить его до 1 мая 1968 года.
В рапорте Гагарин вызывающе добавил:
Кузнецов в свою очередь обратился к Каманину:
8 декабря Каманин наложил на сообщение Кузнецова резолюцию «Согласен», а в дневнике записал:
Так или иначе, но после защиты дипломного проекта Гагарин действительно получил возможность вернуться к тренировкам на УТИ МиГ-15. Они возобновились на аэродроме Чкаловский 13 марта 1968 года. До 22 марта Гагарин успел выполнить восемнадцать полётов общей продолжительностью девять часов.
Его навыки проверяли инструкторы 70-го отдельного исследовательского авиаполка, созданного специально для тренировок космонавтов: капитан Хмель, командир звена майор Лашков, заместитель командира эскадрильи майор Есиков и, наконец, командир эскадрильи подполковник Устенко.

Юрий Гагарин на аэродроме Чкаловский с инструктором; март 1968 года. Фото из книги-альбома «Гагарин — известный и неизвестный» (2009)
По итогам Гагарина допустили к самостоятельному пилотированию на МиГ-17 (бортовой №19): 27 марта он должен был совершить два полёта по кругу продолжительностью 30 минут каждый (упражнение №4 КБП ИА-67). Однако в последний момент план изменился. Каманин записал в дневнике:
Позднее член отряда космонавтов Дмитрий Алексеевич Заикин по просьбе Каманина опросил всех участников событий, которые видели Гагарина перед катастрофой, и среди показаний есть весьма примечательный рассказ начальника штаба полка Евгения Артамоновича Ремизова:

Юрий Гагарин в кабине самолёта УТИ МиГ-15; март 1968 года. Фото из книги-альбома «Гагарин — известный и неизвестный» (2009)
После всех этих переговоров и согласований Гагарин, наконец, занял место в передней кабине УТИ МиГ-15 с бортовым №18 (заводской №612739). Командир полка Владимир Сергеевич Серёгин расположился в задней кабине.
Взлетели в 10:19. Радиообмен позывного 625 с руководителем полётов подполковником Ярошенко, судя по сохранившимся записям, оставался чётким. Первое задание для космонавта было простым — упражнение №2 Курса боевой подготовки истребительной авиации (2 КБП ИА-67), то есть одно из начальных упражнений курса: пилотаж в зоне с выполнением виражей, витков малой спирали, пикирований, боевых разворотов, бочек, полёта на эволютивной скорости (минимальной скорости горизонтального полёта).
В 10:30 последовал доклад Гагарина: «625-й задание в зоне 20 закончил, прошу разрешения разворот на курс 320». «625-й, разрешаю», — ответил руководитель. «Понял, выполняю», — сказал Гагарин. После этих слов радиообмен прекратился, ни на какие запросы 625-й больше не отвечал.
Когда стало ясно, что горючего на истребителе Гагарина и Серёгина остаётся слишком мало, и вернуться им будет проблематично, тревога охватила всех, кто находился на аэродроме. Из ЦПК вызвали Каманина. Последовала команда срочно поднять в воздух два транспортных Ил-14, потом — четыре вертолёта Ми-4. В 14:50 командир одного из вертолётов доложил: «Южнее посёлка Новосёлово, в лесу видна большая воронка, дым и пожар». Собравшиеся на аэродроме генералы немедленно отправились на место падения МиГа. Позднее Каманин записал в дневнике:
Второй осмотр места падения действительно позволил обрести уверенность: Гагарин погиб вместе с инструктором. Обнаруженные фрагменты тел и одежды пилотов доставили в Москву, где к вечеру кремировали — две урны с прахом были выставлены для прощания в Краснознамённом зале Центрального Дома Советской Армии (ЦДСА).
У современных исследователей той трагедии возникает резонный вопрос: зачем было столь поспешно кремировать останки? Ответ прост: информация об авиакатастрофе прошла в средства массовой информации утром 28 марта, до завершения второго осмотра, и страна хотела подобающим образом проститься с героем космоса.
Доступ к урнам был открыт 29 марта с 9:00. В тот день с прахом погибших попрощались около сорока тысяч человек. В почётном карауле стояли руководители партии и правительства, космонавты, лётчики, рабочие и колхозники, учёные и артисты, маршалы и солдаты.
30 марта зал с урнами пришлось открыть на полчаса раньше — люди занимали очередь с шести утра. В 13:00 в почётный караул встало руководство Министерства обороны. В 13:10 космонавты подняли урны и вынесли их на площадь Коммуны. Ещё через десять минут длиннейшая траурная процессия тронулась по Неглинной улице к Дому Союзов.
На протяжении всего пути стояли сотни тысяч москвичей, подавленных тяжёлой утратой. Затем урны были установлены на артиллерийские лафеты, все провожающие вышли из машин, и процессия направилась на Красную площадь. Вслед за урнами шли родственники погибших, члены Президиума ЦК КПСС, космонавты, маршалы, министры, генералы и офицеры.
В 14:30 урны с прахом Юрия Гагарина и Владимира Серёгина были установлены в нишах Кремлёвской стены.

Почётный караул у Кремлёвской стены в месте захоронения урн с прахом Юрия Гагарина и Владимира Серёгина, 30 марта 1968 года
Расследование катастрофы
Для выяснения обстоятельств авиакатастрофы была создана Правительственная комиссия, которую возглавил генерал-полковник Дмитрий Фёдорович Устинов, занимавший должность секретаря ЦК КПСС.
На её первом заседании были образованы четыре подкомиссии: №1 — по изучению лётной подготовки экипажа, проверке организации и обеспечения полёта; №2 — по изучению и анализу материальной части УТИ МиГ-15 №612739 и подготовки его к полёту; №3 — по проверке организации лётной подготовки космонавтов ЦПК ВВС; №4 — по подготовке общего заключения и доклада в ЦК КПСС. В состав каждой подкомиссии вошли от 12 до 15 человек, в том числе представители КГБ, правительства и ЦК КПСС.
1 апреля первые три подкомиссии начали активную работу. Результаты были изложены в двадцати девяти томах, доступа к которым у независимых исследователей нет до сих пор. Поэтому обсуждение версий долгое время велось исключительно в опоре на личные свидетельства участников расследования.
Прежде всего, были определены обстоятельства катастрофы. Первое — самолёт перед ударом о землю был целым. Второе — двигатель в момент удара работал на оборотах, достаточных для горизонтального полёта. Третье — лётчики не пытались катапультироваться. Четвёртое — лётчики были в рабочем состоянии. Пятое — по двум кабинным часам и наручным часам пилотов установили, что катастрофа произошла в 10:31 — через 50 секунд после последнего радиообмена.
Дополнительно было подтверждено, что Гагарин и Серёгин находились в истребителе абсолютно трезвыми — последний раз они выпивали 25 марта, на пятидесятилетии замполита ЦПК, но в меру, и рано покинули торжество.

Схема разброса деталей самолёта УТИ МиГ-15 на месте падения. Рисунок из книги С. Белоцерковского «Первопроходцы Вселенной. Земля-Космос-Земля» (1997)
Далее начались всевозможные проверки исправности техники с привлечением сторонних специалистов. Они позволили комиссии сделать вывод: «Подготовка самолёта к полёту 27.III.68 года произведена в полном объёме, в соответствии с требованиями действующей документации по технической эксплуатации».
Намного сложнее оказалось установить состояние МиГа, его двигателя и оборудования во время самого полёта. Тем не менее, научные методы расследования в авиации уже тогда достигли высокого уровня, и было доказано, что все системы функционировали в пределах нормы до разрушительного удара о землю. Один из способов, который тогда применили, — анализ отпечатков стрелок приборов на циферблатах. С его помощью восстановили показания авиагоризонта, узнали обороты двигателя, углы отклонения рулей высоты и прочее.
Специалисты прилагали усилия, чтобы использовать несколько независимых источников информации. Сразу после обнаружения места падения были приняты меры к сохранению обстановки в нетронутом виде. Кроме того, немедленно начались фотографирование, тщательные измерения, аккуратный сбор и учёт всех частей истребителя. По стоявшим рядом берёзам, верхушки которых срубил МиГ, получилось точно установить угол наклона его траектории перед ударом. Размеры ямы, образовавшейся при ударе, позволили определить скорость полёта вне зависимости от показаний приборов.
Не менее строго изучалась возможность столкновения с птицами, другим самолётом, шаром-зондом, запускаемым для получения данных о состоянии атмосферы. Отряды солдат несколько раз прочесали округу в поисках такого шара или останков птиц. Были изучены документы, регламентирующие полёты, сопоставлены проводки радиолокаторами самолётов, находившихся в данном районе. Версии о столкновении были отвергнуты.
Важная информация была получена при изучении состояния экипажа. Медики проанализировали магнитофонную запись речи Гагарина, изучив динамику её частотного спектра. Эксперты по отпечаткам пальцев рук и обуви установили, в каких позах находились пилоты при ударе. Патологоанатомы произвели тщательное обследование останков.
Комиссия подтвердила сделанное ранее предположение: Гагарин и Серёгин было работоспособны до самого конца. Космонавт левой рукой держался за ручку управления двигателем. Ноги у обоих были на педалях. Следов отравления ядами или газами обнаружено не было, как и признаков характерных повреждений от взрыва или пожара.

Родственники и друзья на месте гибели Юрия Гагарина и Владимира Серёгина. Фото из книги-альбома «Гагарин — известный и неизвестный» (2009)
Впрочем, нельзя сказать, что Правительственная комиссия рассмотрела все без исключения возможные варианты причин авиакатастрофы. При разборе подготовки «зачётного» вылета почти сразу стало ясно, что организация лётной работы в полку — во всяком случае, в день катастрофы — была неудовлетворительной. Доктор технических наук Арсений Дмитриевич Миронов, входивший в подкомиссию №1, свидетельствовал:
Похожее впечатление сложилось и у генерал-лейтенанта Алексея Алексеевича Парамонова, возглавлявшего государственную комиссию, перед которой Гагарин защищал свой дипломный проект, и принявший участие в расследовании гибели космонавта:
При расследовании возникали и конфликты — порой весьма острые. Прошёл слух, что подкомиссия №1 собирается «назначить виновными» самих погибших. Лётчики-космонавты Валерий Фёдорович Быковский и Павел Романович Попович обратились с письмом к главе государства Леониду Ильичу Брежневу с просьбой проверить деятельность Правительственной комиссии и остановить попытки «опорочить» имена Гагарина и Серёгина. Летом 1968 года была создана экспертная группа, которая провела дополнительные исследования, однако её отчёт даже не «подшили» к делу.

Лауреат Ленинской премии Лев Кербель за своей новой работой — скульптурным портретом лётчика-космонавта Юрия Гагарина. Москва, 12 октября 1973 года
РГАНТД. Арх. №1-14046
Легенды и версии
Заключение Правительственной комиссии по выяснению обстоятельств гибели Юрия Гагарина и Владимира Серёгина было подготовлено и направлено Устинову 4 сентября 1968 года. После его изучения 28 ноября было выпущено постановление ЦК КПСС и Совета Министров СССР №932-331, в котором принимались выводы комиссии и приказывалось исправить недостатки в работе с космонавтами.
документа были засекречены более чем на сорок лет, что неизбежно породило городские легенды вплоть до утверждений, будто бы Юрий Гагарин и Владимир Серёгин погибли при неудачном полёте на Луну.
Публичное обсуждение версий трагедии началось в марте 1987 года, когда профессор Сергей Михайлович Белоцерковский и лётчик-космонавт Алексей Архипович Леонов, участвовавшие в расследовании, выступили с серией публикаций. Они сообщили, что группа специалистов по динамике полётов Военно-воздушной инженерной академии имени Н.Е. Жуковского произвела ряд расчётов, дублируя их в двух организациях.
Примечательно, что расчёты делались на той же вычислительной машине БЭСМ-2М, на которой Гагарин производил свои исследования по аэродинамике полёта космоплана под условным обозначением «ЮГ».
С помощью моделирования удалось восстановить ход событий. Получив разрешение от руководителя полётов на возвращение, Гагарин должен был сделать разворот с курса 70 на курс 320 со снижением. При этом полёт совершался между двумя слоями облачности при отсутствии видимости естественного горизонта. Далее произошло нечто неожиданное, и МиГ оказался на закритических углах атаки в положении отвесного пикирования.

Вертикальная развёртка траектории полёта самолёта УТИ МиГ-15 Юрия Гагарина и Владимира Серёгина. Рисунок из книги С. Белоцерковского «Первопроходцы Вселенной. Земля-Космос-Земля» (1997)
Тут возможны три причины. Первая — при подходе к верхней границе нижнего слоя облачности, который был весьма «рваный», с «языками» облаков, пилоты могли принять такой «язык» за препятствие (другой самолёт или метеорологический шар-зонд). Нельзя исключить, что там действительно возникло какое-то препятствие — например, стая птиц. Резкое сближение могло привести к манёвру и сваливанию истребителя.
Вторая причина — попадание в след пролетевшего самолёта. С конца крыла у каждого летательного аппарата сбегают так называемые свободные (или концевые) вихри. Известно, что при полёте строем или дозаправке в воздухе не рекомендуется попадать в зону действия концевых вихрей летящей впереди машины — иначе возникает столь мощное воздействие закрученного потока, что справиться с ним очень трудно: самолёт уходит в резкий крен и сваливание.
Третья причина — восходящий вертикальный поток воздуха, который мог изменить характер обтекания истребителя при горизонтальном полёте. С учётом приближавшегося в тот день холодного фронта нельзя исключать подобные явления из анализа.
Вполне могло иметь место сочетание двух или всех трёх перечисленных факторов. Например, может не быть виден естественный горизонт (как в последнем полёте Гагарина), пилотирование затруднено, а пространственная ориентировка ведётся только по приборам, в основном по авиагоризонту.
Однако резкий манёвр, особенно когда он сопровождался выходом на большие углы пикирования, способен привести к серьёзным ошибкам в показаниях авиагоризонта АГИ-1. Правильно оценить своё пространственное положение пилоты смогли бы только при выходе из облачности, то есть на высоте около 400-500 м. Но проблема в том, что для вывода УТИ МиГ-15 из отвесного пикирования такого запаса высоты недостаточно.
На основании изложенного можно попытаться воссоздать картину последней минуты полёта по версии Белоцерковского-Леонова. Доложив руководителю о выполнении упражнений в зоне и получив разрешение на возвращение, Гагарин после нисходящей спирали сразу же начал выполнять разворот. Обычно при таком манёвре происходит постепенное нарастание перегрузки, углов атаки и углов крена. Вблизи верхней границы нижнего слоя облаков самолёт испытал одно из вышеперечисленных «воздействий», что привело к сваливанию на крыло.
Оказавшись в сложнейшей ситуации, оба лётчика не растерялись, а предприняли всё возможное для спасения. В течение нескольких секунд Гагарин и Серёгин согласовано боролись за жизнь, выводя истребитель из пикирования, хотя и находились под перегрузками, скачком увеличившимися до 10-11 g. Им не хватило всего двух сотен метров высоты — двух секунд полёта!

Наиболее вероятные фазы последней минуты полёта УТИ МиГ-15 с указанием затраченного времени. Рисунок из книги С. Белоцерковского «Первопроходцы Вселенной. Земля-Космос-Земля» (1997)
Хотя Белоцерковский утверждал, что сделанные выводы опираются не только на моделирование, но и на архивные материалы расследования, проведённого Правительственной комиссией, появившаяся возможность публично обсуждать ранее запретную тему вызвала критику предложенной реконструкции авиакатастрофы со стороны различных специалистов и появление новых версий, порой весьма причудливых.
К примеру, в книге полковника Эдуарда Александровича Шершера «Тайна гибели Гагарина. Почему падают самолёты» (2006) изложены двадцать восемь (!) версий, включая его собственную. Самые экстраординарные из них связаны с утверждением, будто бы первого космонавта ликвидировали по приказу то ли госбезопасности, то ли главы государства Леонида Брежнева.
Вероятно, первым версию убийства выдвинул венгерский писатель Иштван Немере. В 1990 году почти одновременно в Венгрии и Польше была опубликована его книга «Гагарин — космическая ложь?» (Gagarin = kozmikus hazugsag?). В ней утверждалось, что настоящим первым космонавтом был лётчик-испытатель Владимир Сергеевич Ильюшин, но он был столь плох после орбитального полёта, что его нельзя было показывать народу, поэтому вместо него нашли улыбчивого молодого пилота.
Позднее, когда Гагарин приобрёл всемирную славу и стал проявлять независимость, его устранили из опасения, что он раскроет правду. Нелепость версии Немере очевидна любому здравомыслящему человеку. Что такое мог раскрыть Гагарин, даже если принять предложенное фантастическое допущение за истину? Он не был первым космонавтом? Ну и что? Тогда космонавтом становился бы Ильюшин — тоже советский гражданин и герой.
Куда стройнее выглядела бы версия убийства Ильюшина, который, завидуя Гагарину, собирался рассказать, кто на самом деле был первым космонавтом, но, к неудовольствию любителей страшных тайн, испытатель дожил до марта 2010 года и умер в возрасте 82-х лет.
Тем не менее, версия о ликвидации Гагарина продолжала находить сторонников. Например, к ней начал склоняться Вячеслав Быковский (не путать с космонавтом Валерием Быковским), который в роковой день 27 марта находился в качестве помощника заместителя руководителя полётов на командном пункте аэродрома Чкаловский и зафиксировал исчезновение отметки УТИ МиГ-15 на экране радара.
Впоследствии он утверждал, что отметка исчезла раньше того момента, который был признан Правительственной комиссией временем падения истребителя, поэтому тот, вероятно, взорвался в воздухе. Косвенные подтверждения своей версии Быковский нашёл в показаниях свидетелей катастрофы, которые слышали два громких хлопка перед падением самолёта, а также в том, что поисковым партиям удалось собрать лишь 40% остекления пилотской кабины — куда же делось остальное?
Получается, что кто-то атаковал истребитель извне, запустив по нему зенитную ракету. Но кому могло понадобиться убивать первого космонавта? На этот вопрос взялся ответить некто Борис Волков — в статье «ЭВМ: я твой двойник» (1994) он выдвинул весьма оригинальную конспирологическую теорию.
Оказывается, Гагарин был свободолюбивым человеком, а его взгляды на будущее страны резко расходились с представлениями партийного руководства. В результате он вступил в конфликт с Брежневым, и тот дал понять подчинённым, что от космонавта надо избавиться. При этом личность и память Гагарина были путём специальной методики «скопированы» в мозг похожего человека, а самого его упрятали в закрытую психиатрическую больницу, имитировав авиакатастрофу. Подлинный Гагарин умер в 1990 году, а его «ментальный двойник», вероятно, жив до сих пор!
Похожие допущения можно найти в книге отставного подполковника Бориса Мурасова «Убийство космонавта Юрия Гагарина» (1995). Текст представляет собой довольно сумбурный набор рассуждений автора и фрагментов интервью, которые он взял у непосредственных участников событий. Хотя ничего нового по делу они не сообщили, Мурасов развивает подозрения Быковского в полноценную теорию «антигагаринского» заговора: первый космонавт стал неудобен власти, его самолёт сбили ракетой, а все подлинные документы расследования были изъяты.
Не менее экзотический вариант предложил инженер-испытатель Анатолий Корешков в книге «За стеной секрета» (2010). Он полагает, что кто-то загодя подложил под кресло Гагарина «радиоуправляемую мину». В чём же мотив? Оказывается, первый космонавт конфликтовал с амбициозным сослуживцем — Георгием Тимофеевичем Береговым, который якобы был «внебрачным сыном» Брежнева (!).
Конфликт дошёл до того, что Гагарин пообещал «разобраться» с главой государства, сотрудники госбезопасности восприняли эти слова как угрозу покушения и предприняли соответствующие меры. В подтверждение своей версии Корешков приводит множество нестыковок в показаниях очевидцев, но не удосужился проверить всего одну маленькую деталь: когда будущий лётчик-космонавт Береговой появился на свет, Брежневу было всего 14 лет — в результате рассыпается и всё хитроумное построение.
Проблема подобных теорий в том, что даже людям, которые весьма далеки от специфики деятельности спецслужб, известно, что для ликвидации неугодных используются более простые и надёжные способы: автокатастрофа, несчастный случай, отравление и т.п. Поэтому, если принять версию Быковского-Мурасова-Корешкова за истину, остаётся огромное количество неразрешимых вопросов.

Самолёт УТИ МиГ-15 с подвесными топливными баками, аналогичный последнему истребителю Юрия Гагарина, в Центральном музее Военно-воздушных сил в Монино
Впрочем, принимать её нет необходимости, ведь вариант диверсии рассматривался ещё во время работы Правительственной комиссии. Параллельно с ней следствие вели сотрудники КГБ, которые рассматривали самые экстремальные гипотезы, включая самоубийство экипажа истребителя, но не нашли ничего подозрительного. Но именно они, как утверждает Эдуард Шершер, решились озвучить версию гибели Гагарина, которая выглядит самой простой и напрашивающейся.
Не будучи специалистами в области авиации, офицеры КГБ, тем не менее, обратили внимание на тот факт, что упражнение №2 КБП ИА-67 должно выполняться при простых метеоусловиях или за облаками, причём на обычном УТИ МиГ-15, а космонавту достался самолёт с подвесными баками — более тяжёлый, со смещённым центром тяжести. Самое главное — до рокового дня Гагарин на этой конкретной машине №18 ни разу не летал. Иначе говоря, ещё на аэродроме были созданы предпосылки для развития аварийной ситуации!
Шершер пишет:
При этом исследователь перекладывает вину за происшествие исключительно на Серёгина, ведь тот знал, что Гагарина как пилота с низкой квалификацией нельзя выпускать в полёт при неблагоприятном прогнозе погоды и тем более на истребителе, который не приспособлен для выполнения упражнений, но сделал это, таким образом приняв всю ответственность за последствия на себя.
Шершер идёт ещё дальше, утверждая, что Серёгин позволил Гагарину «потренироваться» на низкой высоте, после того как было получено разрешение на разворот и возвращение на аэродром, а космонавт не справился с маневрированием и врезался в землю. Более того, пишет Шершер, хотя везде утверждается, что Серёгин был опытнейшим инструктором, в действительности он не имел оформленного по существующим правилам допуска к инструкторской работе и не был подготовлен к действиям при сваливании самолёта.
Версия Шершера с учётом изложенного кажется более убедительной, чем все предыдущие. Однако и она опирается на гипотезу о решении Серёгина провести какие-то дополнительные упражнения на низкой высоте. Может быть, есть вариант ещё проще?

Митинг, посвящённый открытию мемориала в память о лётчике-космонавте Юрии Гагарине и лётчике-испытателе Владимире Серёгине на месте их гибели. Город Киржач Владимирской области, 17 октября 1975 года
РГАНТД. Арх. №1-14024
Кто виноват?
В апреле 2011 года, под давлением общественности, было наконец-то обнародовано заключение Правительственной комиссии. Подводя итог своей деятельности, она утверждала:
В документе даже назван шар-зонд, который в принципе мог стать причиной манёвра уклонения. Он был запущен 27 марта в 10:02 сотрудниками Физического института Академии наук и в 10:22 на высоте около 3000 м вошёл в район испытательных полётов аэродрома Чкаловский.
Фактически перед нами — упрощённая версия Белоцерковского-Леонова, что ещё раз указывает на их знакомство с материалами дела. Казалось бы, на этом вопрос можно и закрыть, но Леонов не принял появившиеся в свободном обороте документы, а в 2013 году сделал новое громкое заявление, которое тут же подхватили средства массовой информации.
Прославленный лётчик-космонавт сообщил, что можно быть уверенным: причиной сваливания УТИ МиГ-15 Юрия Гагарина стал истребитель-перехватчик Су-15, выполнявший полёт с аэродрома Жуковский и случайно вошедший в зону маневрирования. Леонов утверждал, что пилот, управлявший истребителем и нарушивший регламент полётов, до сих пор жив, однако назвать его имя отказался, сославшись на «государственную тайну».
Оппонентом космонавта выступил вышеупомянутый Арсений Дмитриевич Миронов, работавший в подкомиссии №1. Он заявил, что доводы Леонова в пользу новой версии опровергаются показаниями жителей деревни Новосёлово, собранными сразу после авиакатастрофы. Ему удалось установить имя испытателя, который совершал в тот день полёт на Су-15 в близкой зоне — Аркадий Павлович Богородский.
Сохранился полётный лист №1028, из которого следует, что этот пилот поднялся в воздух в 9:45, а приземлился в 10:24, то есть за пять минут до того, как Гагарин пошёл на снижение. Версия Леонова окончательно разваливается, если добавить к сказанному, что 20 апреля 1972 года Богородский погиб в испытательном полёте на МиГ-21ПФ.

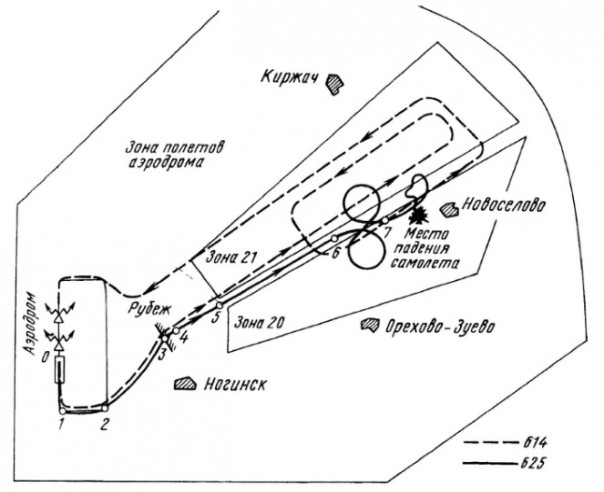
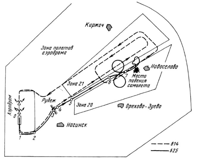
Горизонтальная проекция траектории движения самолётов с позывными 625 (УТИ МиГ-15 Юрия Гагарина и Владимира Серёгина) и 614 (УТИ МиГ-15 Валентина Андреева). Рисунок из книги С. Белоцерковского «Первопроходцы Вселенной. Земля-Космос-Земля» (1997)
Опровергнув версию космонавта, Миронов, тем не менее, согласился с идеей, что посторонний самолёт, оказавшийся рядом с УТИ МиГ-15, мог стать толчком, побудившим Гагарина совершить манёвр. В статье «Гибель Ю.А. Гагарина. Некоторые заблуждения и важные факты» (2013) он перечисляет нарушения, которые были допущены при подготовке «зачётного» вылета и которые в той или иной степени способствовали развитию катастрофической ситуации:
Миронов подчёркивает: скорее всего, никогда не будет достоверно установлена причина сваливания УТИ МиГ-15, поэтому нет нужды в «назначении» виновных. Лётчик Андреев даже не видел самолёта Гагарина, что исключает какую-либо злонамеренность.
Конечно, можно обсуждать степень вины Владимира Серёгина и прочих лиц, участвовавших в организации «зачётного» вылета. Но давайте вспомним, кто принимал решение провести внеплановую тренировку. Это генералы Николай Каманин и Николай Кузнецов. И в данном случае мы вполне можем говорить о том, что сработал пресловутый «генеральский эффект».
Под ним понимают возникновение нештатных ситуаций при осуществлении различных демонстрационных мероприятий («показух»): аварии в присутствии «высоких» комиссий возникают потому, что желание выглядеть выгодно в глазах начальства часто перевешивает требования регламента. Каманин и Кузнецов запустили процесс накопления ошибок и нарушений в ту минуту, когда договорились устроить Гагарину ещё одну проверку, в которой по большому счёту не было особой нужды.
Они не учли два момента. Первый — внеплановый полёт будет проводиться на первом попавшемся самолёте; второй — Серёгин не летал с Гагариным как инструктор и не знает реального уровня его подготовки. Развитию аварийной ситуации способствовало и ухудшение погоды: если бы в тот день не назначили «зачётный» вылет, то, вероятно, самостоятельные полёты Гагарина отложили бы до улучшения погодных условий, однако Серёгин считался опытным инструктором, и было решено, что он справится с любой нештатной ситуацией.
Кстати, непосредственную вину Каманина признало и правительство. В постановлении ЦК КПСС и Совета министров СССР №932-331 «О результатах выяснения обстоятельств гибели лётчика-космонавта СССР, Героя Советского Союза полковника Ю.А. Гагарина и Героя Советского Союза инженер-полковника В.С. Серёгина» от 28 ноября 1968 года Николаю Петровичу Каманину был вынесен строгий выговор «за проявленную беспечность и допущенные недостатки в организации и проведении лётной подготовки космонавтов».

Проект мемориального комплекса на месте трагической гибели лётчика-космонавта Юрия Гагарина и лётчика-испытателя Владимира Серёгина
Антон Первушин
Расследование чрезвычайного происшествия проводилось с привлечением крупнейших специалистов, однако вопреки ожиданиям его результаты не были опубликованы. В обществе начали циркулировать слухи, которые породили множество версий трагедии: от прозаичных до фантастичных. И даже сегодня, после рассекречивания многих документов, гибель Гагарина остаётся одной из тайн ХХ века.
Зачётный вылет
После исторического полёта на орбиту 12 апреля 1961 года жизнь Юрия Алексеевича Гагарина стала очень насыщенной. Он давал бесконечные интервью, совершал поездки по советским городам и странам мира, выступал на всевозможных митингах и торжественных мероприятиях, занимался общественно-политической деятельностью, участвовал в тренировках друзей-сослуживцев и военных программах освоения околоземного пространства, готовился к экспедиции на Луну и учился в Военно-воздушной инженерной академии.
Будни, типичные для советского офицера, отошли для Гагарина на второй план. Среди прочих наград он удостоился квалификации военного лётчика первого класса, хотя по реальному опыту мог претендовать только на третий класс (до 1960 года его общий налёт на реактивном истребителе был невелик — 247 часов 49 минут).
Высокий статус в авиационной среде требовал от космонавта поддержания навыков, что, к сожалению, у него не всегда получалось. Согласно рассекреченным документам, в 1961, 1962 и 1964 годах он на истребителе не летал даже с инструктором, в 1963 году налёт составил 7 часов, в 1965 году — 40 часов 30 минут, в 1966 году — 46 часов.
После того как в апреле 1967 года на «Союзе-1» погиб Владимир Михайлович Комаров, Гагарина, который был его дублёром, отстранили от подготовки к будущим космическим полётам, поэтому он решил по-настоящему заняться авиацией. Генерал-лейтенант Николай Петрович Каманин, курировавший отряд космонавтов, записал в дневнике:
«8 августа. Был в Центре [подготовки космонавтов]. Гагарин вернулся из отпуска и сегодня уже летал. Он очень рвётся к полётам и прыжкам с парашютом. Прыжки и космические полёты ему уже запретили, а летать на самолётах разрешается только с инструкторами.
Я против такой перестраховки и превращения 33-летнего Гагарина в музейную ценность, но пока наши попытки добиться большей свободы в полётах для Гагарина не увенчались успехом. Я поставил перед Юрой главную задачу: до 1 мая 1968 года закончить академию имени Жуковского, получить диплом инженера».
Я против такой перестраховки и превращения 33-летнего Гагарина в музейную ценность, но пока наши попытки добиться большей свободы в полётах для Гагарина не увенчались успехом. Я поставил перед Юрой главную задачу: до 1 мая 1968 года закончить академию имени Жуковского, получить диплом инженера».
Задачу космонавт принял к сведению, но продолжал летать с инструкторами на УТИ МиГ-15. В августе он совершил девять полётов общей продолжительностью 4 часа 45 минут, в ноябре — ещё девять продолжительностью 3 часа 17 минут.

Заместитель начальника Центра подготовки космонавтов Юрий Гагарин в своём рабочем кабинете. Звёздный городок, 1968 год
РГАНТД. Арх. №0-767цв
Надо сказать, что в то время Гагарин, помимо прочего, занимал должность заместителя начальника Центра подготовки космонавтов (ЦПК ВВС), но выход на «финишную прямую» перед защитой дипломного проекта вынудил его отказаться от привычных дел. Последний полёт он совершил 27 ноября, а 2 декабря подал рапорт своему непосредственному начальнику генерал-майору Николаю Фёдоровичу Кузнецову с просьбой освободить его до 1 мая 1968 года.
В рапорте Гагарин вызывающе добавил:
«Считаю морально неоправданным находиться на должности заместителя начальника в/ч 26266 по лётно-космической подготовке, не имея возможности летать самому и контролировать лётную подготовку подчинённого состава».
Кузнецов в свою очередь обратился к Каманину:
«В связи со сложившейся в данное время обстановкой считаю целесообразным предоставить полковнику Гагарину Ю.А. необходимое время для завершения учебного процесса в академии имени профессора Н.Е. Жуковского.
Самостоятельный полёт на боевом самолёте и дальнейшие тренировочные полёты перенести в наиболее благоприятные метеорологические условия весенне-летнего периода 1968 года».
Самостоятельный полёт на боевом самолёте и дальнейшие тренировочные полёты перенести в наиболее благоприятные метеорологические условия весенне-летнего периода 1968 года».
8 декабря Каманин наложил на сообщение Кузнецова резолюцию «Согласен», а в дневнике записал:
«Получил рапорт Гагарина — он очень обижен запретом самостоятельного вылета на самолёте и просит освободить его от должности заместителя начальника ЦПК, полагая, что будучи руководителем лётно-космической подготовки космонавтов он сам обязан много летать.
Сейчас главная задача для Гагарина — окончание Академии имени Жуковского до мая 1968 года, — а потом мы разрешим ему летать, но лишь при организации полётов более строгой, чем та, при какой собирался это сделать генерал Кузнецов в ноябре. Придётся серьёзно поговорить с Юрой».
Сейчас главная задача для Гагарина — окончание Академии имени Жуковского до мая 1968 года, — а потом мы разрешим ему летать, но лишь при организации полётов более строгой, чем та, при какой собирался это сделать генерал Кузнецов в ноябре. Придётся серьёзно поговорить с Юрой».
Так или иначе, но после защиты дипломного проекта Гагарин действительно получил возможность вернуться к тренировкам на УТИ МиГ-15. Они возобновились на аэродроме Чкаловский 13 марта 1968 года. До 22 марта Гагарин успел выполнить восемнадцать полётов общей продолжительностью девять часов.
Его навыки проверяли инструкторы 70-го отдельного исследовательского авиаполка, созданного специально для тренировок космонавтов: капитан Хмель, командир звена майор Лашков, заместитель командира эскадрильи майор Есиков и, наконец, командир эскадрильи подполковник Устенко.

Юрий Гагарин на аэродроме Чкаловский с инструктором; март 1968 года. Фото из книги-альбома «Гагарин — известный и неизвестный» (2009)
По итогам Гагарина допустили к самостоятельному пилотированию на МиГ-17 (бортовой №19): 27 марта он должен был совершить два полёта по кругу продолжительностью 30 минут каждый (упражнение №4 КБП ИА-67). Однако в последний момент план изменился. Каманин записал в дневнике:
«26 марта. <…> После заседания Госкомиссии генерал Кузнецов доложил мне, что завтра предполагается выпустить Гагарина в самостоятельный полёт на самолёте МиГ-17. Кузнецов просил меня разрешить ему лично проверить на самолёте УТИ МиГ-15 подготовленность Гагарина к самостоятельному вылету. Совместный полёт Гагарина с Кузнецовым я запретил, прямо заявив последнему, что он давно утратил навыки лётчика-инструктора.
Я разрешил командиру полка В.С. [Владимиру Сергеевичу] Серёгину проверить завтра технику пилотирования у Гагарина, а генералу Кузнецову приказал лично проверить организацию выпуска в полёт Гагарина, проанализировать и доложить мне воздушную обстановку и метеоусловия. Право на разрешение самостоятельного вылета Гагарина я оставил за собой».
Я разрешил командиру полка В.С. [Владимиру Сергеевичу] Серёгину проверить завтра технику пилотирования у Гагарина, а генералу Кузнецову приказал лично проверить организацию выпуска в полёт Гагарина, проанализировать и доложить мне воздушную обстановку и метеоусловия. Право на разрешение самостоятельного вылета Гагарина я оставил за собой».
Позднее член отряда космонавтов Дмитрий Алексеевич Заикин по просьбе Каманина опросил всех участников событий, которые видели Гагарина перед катастрофой, и среди показаний есть весьма примечательный рассказ начальника штаба полка Евгения Артамоновича Ремизова:
«В день полётов 27 марта утром я находился в своём кабинете. Прибыл полковник Серёгин и вызвал меня. Начался разговор о погодных условиях и о подготовке Юрия Алексеевича к самостоятельному вылету. Пришёл генерал Кузнецов и попросил посмотреть вместе с ним полётную документацию Юрия Алексеевича. Мы взяли лётную книжку, полётные листы, стали смотреть его проверки и посчитали налёт.
В это время в кабинет вошёл Юрий Алексеевич. Он уже переоделся в лётную кожаную куртку и брюки от лётного костюма. Выглядел он бодро, улыбался. Так он, ни слова не говоря, моргнул мне, указывая кивком головы на сидящего спиной к нему генерала Кузнецова, как бы говоря: «Что, начальство проверяет?» Я ему показал жестом, что всё нормально. И он вышел из кабинета.
Затем я его видел, когда он выходил с каким-то лётчиком из штаба, следуя на аэродром. Погода в этот день с утра была такой, когда можно было принять решение на полёты по простому варианту или при повышенном минимуме. Я предложил генералу Кузнецову пройти на метеостанцию, ещё раз проанализировать прогноз погоды и решить вопрос относительно самостоятельного вылета Юрия Алексеевича. Я высказал своё предложение: «После полёта Юрия Алексеевича с Серёгиным мы запишем в книжку допуск к самостоятельному вылету, а в этот день выпускать не будем».
Мы прошли к синоптикам. По их докладам погода к этому времени была следующей: облачность с разрывами, нижний край 900 м, верхний — 4000 м, но ожидалось ухудшение метеоусловий. Генерал Кузнецов согласился с моим предложением, и было принято решение: Юрия Алексеевича в этот день проверить, а самостоятельно выпустить в следующий лётный день после предварительного контрольного полёта.
С метеостанции мы вместе с генералом Кузнецовым Н.Ф. пошли на аэродром к самолёту, в котором сидел Юрий Алексеевич. Генерал Кузнецов подошёл к самолёту, встал на стремянку и о чём-то говорил с Юрием Алексеевичем. Я в это время находился метрах в пяти от самолёта и их разговора не слышал, а только наблюдал это. Затем генерал Кузнецов отошёл от самолёта и сказал мне, что почему-то задерживается начало полётов. Мы пошли на КП [командный пункт] полка.
В это время из домика, где размещался КП полка, вышел Серёгин В.С. и пошёл к нам навстречу. Он был несколько возбуждён и сказал нам: «Сейчас осуществлялся полёт на километраж и нам временно задержали полёты. Но теперь разрешили». Владимир Сергеевич пошёл к самолёту Гагарина, а мы с генералом зашли на КП».
В это время в кабинет вошёл Юрий Алексеевич. Он уже переоделся в лётную кожаную куртку и брюки от лётного костюма. Выглядел он бодро, улыбался. Так он, ни слова не говоря, моргнул мне, указывая кивком головы на сидящего спиной к нему генерала Кузнецова, как бы говоря: «Что, начальство проверяет?» Я ему показал жестом, что всё нормально. И он вышел из кабинета.
Затем я его видел, когда он выходил с каким-то лётчиком из штаба, следуя на аэродром. Погода в этот день с утра была такой, когда можно было принять решение на полёты по простому варианту или при повышенном минимуме. Я предложил генералу Кузнецову пройти на метеостанцию, ещё раз проанализировать прогноз погоды и решить вопрос относительно самостоятельного вылета Юрия Алексеевича. Я высказал своё предложение: «После полёта Юрия Алексеевича с Серёгиным мы запишем в книжку допуск к самостоятельному вылету, а в этот день выпускать не будем».
Мы прошли к синоптикам. По их докладам погода к этому времени была следующей: облачность с разрывами, нижний край 900 м, верхний — 4000 м, но ожидалось ухудшение метеоусловий. Генерал Кузнецов согласился с моим предложением, и было принято решение: Юрия Алексеевича в этот день проверить, а самостоятельно выпустить в следующий лётный день после предварительного контрольного полёта.
С метеостанции мы вместе с генералом Кузнецовым Н.Ф. пошли на аэродром к самолёту, в котором сидел Юрий Алексеевич. Генерал Кузнецов подошёл к самолёту, встал на стремянку и о чём-то говорил с Юрием Алексеевичем. Я в это время находился метрах в пяти от самолёта и их разговора не слышал, а только наблюдал это. Затем генерал Кузнецов отошёл от самолёта и сказал мне, что почему-то задерживается начало полётов. Мы пошли на КП [командный пункт] полка.
В это время из домика, где размещался КП полка, вышел Серёгин В.С. и пошёл к нам навстречу. Он был несколько возбуждён и сказал нам: «Сейчас осуществлялся полёт на километраж и нам временно задержали полёты. Но теперь разрешили». Владимир Сергеевич пошёл к самолёту Гагарина, а мы с генералом зашли на КП».

Юрий Гагарин в кабине самолёта УТИ МиГ-15; март 1968 года. Фото из книги-альбома «Гагарин — известный и неизвестный» (2009)
После всех этих переговоров и согласований Гагарин, наконец, занял место в передней кабине УТИ МиГ-15 с бортовым №18 (заводской №612739). Командир полка Владимир Сергеевич Серёгин расположился в задней кабине.
Взлетели в 10:19. Радиообмен позывного 625 с руководителем полётов подполковником Ярошенко, судя по сохранившимся записям, оставался чётким. Первое задание для космонавта было простым — упражнение №2 Курса боевой подготовки истребительной авиации (2 КБП ИА-67), то есть одно из начальных упражнений курса: пилотаж в зоне с выполнением виражей, витков малой спирали, пикирований, боевых разворотов, бочек, полёта на эволютивной скорости (минимальной скорости горизонтального полёта).
В 10:30 последовал доклад Гагарина: «625-й задание в зоне 20 закончил, прошу разрешения разворот на курс 320». «625-й, разрешаю», — ответил руководитель. «Понял, выполняю», — сказал Гагарин. После этих слов радиообмен прекратился, ни на какие запросы 625-й больше не отвечал.
Когда стало ясно, что горючего на истребителе Гагарина и Серёгина остаётся слишком мало, и вернуться им будет проблематично, тревога охватила всех, кто находился на аэродроме. Из ЦПК вызвали Каманина. Последовала команда срочно поднять в воздух два транспортных Ил-14, потом — четыре вертолёта Ми-4. В 14:50 командир одного из вертолётов доложил: «Южнее посёлка Новосёлово, в лесу видна большая воронка, дым и пожар». Собравшиеся на аэродроме генералы немедленно отправились на место падения МиГа. Позднее Каманин записал в дневнике:
«На полях и в лесу лежал ещё не тронутый оттепелью глубокий снег, лишь кое-где просматривались небольшие проталины — обстановка для поиска белых куполов парашютов была очень сложной (в полёте я ещё надеялся, что экипаж катапультировался). Через несколько минут мы были в районе Новосёлово. В 1-2 километрах от деревни увидели на земле два вертолёта. В воздухе кроме нашего вертолёта был ещё один: он кружил над лесом, пытаясь указать нам точку падения самолёта.
У меня большой опыт отыскания обломков самолётов с воздуха, да и зрение ещё не подводило, но на этот раз я заметил их только с третьего виража — помог трактор, который уже подошёл к обломкам. Наш вертолёт сел на опушке леса метрах в 800 от места падения самолёта. Глубина снега была более метра, при каждом шаге ноги проваливались, идти было очень трудно. Когда мы добрались до места падения самолёта, там было уже около трёх десятков человек во главе с подполковником Козловым.
Самолёт упал в густом лесу, скорость в момент удара о землю была 700-800 километров в час. Двигатель и передняя кабина ушли в землю на 6-7 метров. Крылья, хвостовое оперение, баки и кабины разрушились на мельчайшие части, которые были разбросаны в полосе 200 на 100 метров.
Многие детали самолёта, парашютов, одежды пилотов мы находили на высоких сучьях деревьев. Через некоторое время обнаружили обломок верхней челюсти с одним золотым и одним стальным зубом. Врачи доложили, что это челюсть Серёгина. Признаков гибели Гагарина не было, но и надежды на его спасение катастрофически падали.
Вскоре обнаружили планшет лётчика. Были основания считать, что это планшет Гагарина, но утверждать, что Гагарин погиб, было ещё нельзя — планшет мог остаться в кабине и после катапультирования, да и принадлежность его Гагарину надо было ещё доказать. Быстро темнело, производить раскопки ночью и без аварийной комиссии было невозможно. Доложили Брежневу и Косыгину, что Серёгин погиб, гибель Гагарина очень вероятна, но окончательно о судьбе Гагарина доложим только утром 28 марта после детального обследования района падения самолёта».
У меня большой опыт отыскания обломков самолётов с воздуха, да и зрение ещё не подводило, но на этот раз я заметил их только с третьего виража — помог трактор, который уже подошёл к обломкам. Наш вертолёт сел на опушке леса метрах в 800 от места падения самолёта. Глубина снега была более метра, при каждом шаге ноги проваливались, идти было очень трудно. Когда мы добрались до места падения самолёта, там было уже около трёх десятков человек во главе с подполковником Козловым.
Самолёт упал в густом лесу, скорость в момент удара о землю была 700-800 километров в час. Двигатель и передняя кабина ушли в землю на 6-7 метров. Крылья, хвостовое оперение, баки и кабины разрушились на мельчайшие части, которые были разбросаны в полосе 200 на 100 метров.
Многие детали самолёта, парашютов, одежды пилотов мы находили на высоких сучьях деревьев. Через некоторое время обнаружили обломок верхней челюсти с одним золотым и одним стальным зубом. Врачи доложили, что это челюсть Серёгина. Признаков гибели Гагарина не было, но и надежды на его спасение катастрофически падали.
Вскоре обнаружили планшет лётчика. Были основания считать, что это планшет Гагарина, но утверждать, что Гагарин погиб, было ещё нельзя — планшет мог остаться в кабине и после катапультирования, да и принадлежность его Гагарину надо было ещё доказать. Быстро темнело, производить раскопки ночью и без аварийной комиссии было невозможно. Доложили Брежневу и Косыгину, что Серёгин погиб, гибель Гагарина очень вероятна, но окончательно о судьбе Гагарина доложим только утром 28 марта после детального обследования района падения самолёта».
Второй осмотр места падения действительно позволил обрести уверенность: Гагарин погиб вместе с инструктором. Обнаруженные фрагменты тел и одежды пилотов доставили в Москву, где к вечеру кремировали — две урны с прахом были выставлены для прощания в Краснознамённом зале Центрального Дома Советской Армии (ЦДСА).
У современных исследователей той трагедии возникает резонный вопрос: зачем было столь поспешно кремировать останки? Ответ прост: информация об авиакатастрофе прошла в средства массовой информации утром 28 марта, до завершения второго осмотра, и страна хотела подобающим образом проститься с героем космоса.
Доступ к урнам был открыт 29 марта с 9:00. В тот день с прахом погибших попрощались около сорока тысяч человек. В почётном карауле стояли руководители партии и правительства, космонавты, лётчики, рабочие и колхозники, учёные и артисты, маршалы и солдаты.
30 марта зал с урнами пришлось открыть на полчаса раньше — люди занимали очередь с шести утра. В 13:00 в почётный караул встало руководство Министерства обороны. В 13:10 космонавты подняли урны и вынесли их на площадь Коммуны. Ещё через десять минут длиннейшая траурная процессия тронулась по Неглинной улице к Дому Союзов.
На протяжении всего пути стояли сотни тысяч москвичей, подавленных тяжёлой утратой. Затем урны были установлены на артиллерийские лафеты, все провожающие вышли из машин, и процессия направилась на Красную площадь. Вслед за урнами шли родственники погибших, члены Президиума ЦК КПСС, космонавты, маршалы, министры, генералы и офицеры.
В 14:30 урны с прахом Юрия Гагарина и Владимира Серёгина были установлены в нишах Кремлёвской стены.

Почётный караул у Кремлёвской стены в месте захоронения урн с прахом Юрия Гагарина и Владимира Серёгина, 30 марта 1968 года
Расследование катастрофы
Для выяснения обстоятельств авиакатастрофы была создана Правительственная комиссия, которую возглавил генерал-полковник Дмитрий Фёдорович Устинов, занимавший должность секретаря ЦК КПСС.
На её первом заседании были образованы четыре подкомиссии: №1 — по изучению лётной подготовки экипажа, проверке организации и обеспечения полёта; №2 — по изучению и анализу материальной части УТИ МиГ-15 №612739 и подготовки его к полёту; №3 — по проверке организации лётной подготовки космонавтов ЦПК ВВС; №4 — по подготовке общего заключения и доклада в ЦК КПСС. В состав каждой подкомиссии вошли от 12 до 15 человек, в том числе представители КГБ, правительства и ЦК КПСС.
1 апреля первые три подкомиссии начали активную работу. Результаты были изложены в двадцати девяти томах, доступа к которым у независимых исследователей нет до сих пор. Поэтому обсуждение версий долгое время велось исключительно в опоре на личные свидетельства участников расследования.
Прежде всего, были определены обстоятельства катастрофы. Первое — самолёт перед ударом о землю был целым. Второе — двигатель в момент удара работал на оборотах, достаточных для горизонтального полёта. Третье — лётчики не пытались катапультироваться. Четвёртое — лётчики были в рабочем состоянии. Пятое — по двум кабинным часам и наручным часам пилотов установили, что катастрофа произошла в 10:31 — через 50 секунд после последнего радиообмена.
Дополнительно было подтверждено, что Гагарин и Серёгин находились в истребителе абсолютно трезвыми — последний раз они выпивали 25 марта, на пятидесятилетии замполита ЦПК, но в меру, и рано покинули торжество.

Схема разброса деталей самолёта УТИ МиГ-15 на месте падения. Рисунок из книги С. Белоцерковского «Первопроходцы Вселенной. Земля-Космос-Земля» (1997)
Далее начались всевозможные проверки исправности техники с привлечением сторонних специалистов. Они позволили комиссии сделать вывод: «Подготовка самолёта к полёту 27.III.68 года произведена в полном объёме, в соответствии с требованиями действующей документации по технической эксплуатации».
Намного сложнее оказалось установить состояние МиГа, его двигателя и оборудования во время самого полёта. Тем не менее, научные методы расследования в авиации уже тогда достигли высокого уровня, и было доказано, что все системы функционировали в пределах нормы до разрушительного удара о землю. Один из способов, который тогда применили, — анализ отпечатков стрелок приборов на циферблатах. С его помощью восстановили показания авиагоризонта, узнали обороты двигателя, углы отклонения рулей высоты и прочее.
Специалисты прилагали усилия, чтобы использовать несколько независимых источников информации. Сразу после обнаружения места падения были приняты меры к сохранению обстановки в нетронутом виде. Кроме того, немедленно начались фотографирование, тщательные измерения, аккуратный сбор и учёт всех частей истребителя. По стоявшим рядом берёзам, верхушки которых срубил МиГ, получилось точно установить угол наклона его траектории перед ударом. Размеры ямы, образовавшейся при ударе, позволили определить скорость полёта вне зависимости от показаний приборов.
Не менее строго изучалась возможность столкновения с птицами, другим самолётом, шаром-зондом, запускаемым для получения данных о состоянии атмосферы. Отряды солдат несколько раз прочесали округу в поисках такого шара или останков птиц. Были изучены документы, регламентирующие полёты, сопоставлены проводки радиолокаторами самолётов, находившихся в данном районе. Версии о столкновении были отвергнуты.
Важная информация была получена при изучении состояния экипажа. Медики проанализировали магнитофонную запись речи Гагарина, изучив динамику её частотного спектра. Эксперты по отпечаткам пальцев рук и обуви установили, в каких позах находились пилоты при ударе. Патологоанатомы произвели тщательное обследование останков.
Комиссия подтвердила сделанное ранее предположение: Гагарин и Серёгин было работоспособны до самого конца. Космонавт левой рукой держался за ручку управления двигателем. Ноги у обоих были на педалях. Следов отравления ядами или газами обнаружено не было, как и признаков характерных повреждений от взрыва или пожара.

Родственники и друзья на месте гибели Юрия Гагарина и Владимира Серёгина. Фото из книги-альбома «Гагарин — известный и неизвестный» (2009)
Впрочем, нельзя сказать, что Правительственная комиссия рассмотрела все без исключения возможные варианты причин авиакатастрофы. При разборе подготовки «зачётного» вылета почти сразу стало ясно, что организация лётной работы в полку — во всяком случае, в день катастрофы — была неудовлетворительной. Доктор технических наук Арсений Дмитриевич Миронов, входивший в подкомиссию №1, свидетельствовал:
«Вина за это целиком лежит на военных — руководящем составе 70-го особого истребительного авиационного полка и на руководстве службы управления полётами аэродрома «Чкаловский».
Председатель комиссии Д.Ф. Устинов как секретарь ЦК КПСС отвечал в стране за оборону и космос, а значит, через многих руководителей ВВС, и за безопасность полётов, в том числе и в 70-м полку. Поэтому появилось желание «искать внешнюю причину», а не разбираться в недостатках организации лётной работы, в человеческом факторе, в ошибках.
В этой связи привлекает внимание следующий эпизод в работе лётной подкомиссии. На очередном заседании (16 апреля) член лётной подкомиссии генерал [Иван Фёдорович] Модяев выступил с предложением: «Надо искать внешнее воздействие, которое поставило самолёт в срывное положение».
Попытки напомнить о более актуальном направлении исследований — влияние «человеческого фактора» — не увенчались успехом. А ведь к этому моменту у подкомиссии уже накопился большой объём информации об ошибках в организации лётной работы, неправильных действиях персонала! Это замалчивание продолжалось до конца работы подкомиссии и увело расследование от необходимости называть лиц, допустивших ошибки».
Председатель комиссии Д.Ф. Устинов как секретарь ЦК КПСС отвечал в стране за оборону и космос, а значит, через многих руководителей ВВС, и за безопасность полётов, в том числе и в 70-м полку. Поэтому появилось желание «искать внешнюю причину», а не разбираться в недостатках организации лётной работы, в человеческом факторе, в ошибках.
В этой связи привлекает внимание следующий эпизод в работе лётной подкомиссии. На очередном заседании (16 апреля) член лётной подкомиссии генерал [Иван Фёдорович] Модяев выступил с предложением: «Надо искать внешнее воздействие, которое поставило самолёт в срывное положение».
Попытки напомнить о более актуальном направлении исследований — влияние «человеческого фактора» — не увенчались успехом. А ведь к этому моменту у подкомиссии уже накопился большой объём информации об ошибках в организации лётной работы, неправильных действиях персонала! Это замалчивание продолжалось до конца работы подкомиссии и увело расследование от необходимости называть лиц, допустивших ошибки».
Похожее впечатление сложилось и у генерал-лейтенанта Алексея Алексеевича Парамонова, возглавлявшего государственную комиссию, перед которой Гагарин защищал свой дипломный проект, и принявший участие в расследовании гибели космонавта:
«С первых же дней работы начали выявляться совершенно очевидные недоработки и упущения, которые сами по себе, отдельно взятые, не могли явиться непосредственной причиной катастрофы, но все вместе свидетельствовали о вопиющем недостатке внимания и отсутствии элементарного проявления заботы о том, чтобы наши первые космонавты были максимально защищены от тех опасностей, с которыми прежде всего связана их лётная тренировка.
Ничем нельзя оправдать тот факт, что свой последний полёт Гагарин и Серёгин выполняли на старом самолёте, прошедшем два капитальных ремонта, а двигатель на этом самолёте имел даже четыре капитальных ремонта.
Средства наземного обеспечения полётов работали плохо и в конечном счёте потеряли самолёт, оказавшийся в сложных метеоусловиях (вместо простых по заданию). Метеорологическое обеспечение было неполным и ненадёжным. Общая организация полёта должна быть признана неудовлетворительной. <…>
Вместо логичного продвижения расследования и раскрытия истины началась изнурительная долгая работа, похожая на «медвежью» охоту. Специалистам, как медведю рукавицу, подбрасывали одну версию за другой, одну железку за другой, и они добросовестно давали ответы на поставленные вопросы, не приближаясь ни на шаг к ответу на главный вопрос: почему исправный самолёт, пилотируемый до последнего мгновения работоспособными лётчиками, вдруг столкнулся с землёй?
По существовавшим тогда весьма жёстким требованиям Приказа министра обороны о порядке расследования лётных происшествий комиссия была обязана на 10-й день сделать предварительные или окончательные выводы о причинах катастрофы и доложить их в вышестоящие инстанции. За многолетнюю свою практику участия в расследованиях я не помню ни одного случая нарушений данного требования.
Совершенно очевидно, что в данном случае высшей инстанцией для доклада могло быть только Политбюро ЦК КПСС. Какие, кому, когда и кем были сделаны доклады, до сих пор неизвестно. Не известны доклады, которые шли по линии КГБ, Генерального прокурора и др. Работа по расследованию неоправданно затянулась. Хотя бы общие выводы не были обнародованы и даже не доведены до руководства Военно-Воздушных Сил и Министерства обороны. <…>
Я думаю, что в ходе расследования очень многие почувствовали прямую связь гибели Гагарина и Серёгина с собственной недоработкой. Многие любили погреться в лучах славы, доставшейся космонавтам, пользовались рядом благ, но мало занимались рутинной работой, которая в конечном счёте определяет успех в любом деле».
Ничем нельзя оправдать тот факт, что свой последний полёт Гагарин и Серёгин выполняли на старом самолёте, прошедшем два капитальных ремонта, а двигатель на этом самолёте имел даже четыре капитальных ремонта.
Средства наземного обеспечения полётов работали плохо и в конечном счёте потеряли самолёт, оказавшийся в сложных метеоусловиях (вместо простых по заданию). Метеорологическое обеспечение было неполным и ненадёжным. Общая организация полёта должна быть признана неудовлетворительной. <…>
Вместо логичного продвижения расследования и раскрытия истины началась изнурительная долгая работа, похожая на «медвежью» охоту. Специалистам, как медведю рукавицу, подбрасывали одну версию за другой, одну железку за другой, и они добросовестно давали ответы на поставленные вопросы, не приближаясь ни на шаг к ответу на главный вопрос: почему исправный самолёт, пилотируемый до последнего мгновения работоспособными лётчиками, вдруг столкнулся с землёй?
По существовавшим тогда весьма жёстким требованиям Приказа министра обороны о порядке расследования лётных происшествий комиссия была обязана на 10-й день сделать предварительные или окончательные выводы о причинах катастрофы и доложить их в вышестоящие инстанции. За многолетнюю свою практику участия в расследованиях я не помню ни одного случая нарушений данного требования.
Совершенно очевидно, что в данном случае высшей инстанцией для доклада могло быть только Политбюро ЦК КПСС. Какие, кому, когда и кем были сделаны доклады, до сих пор неизвестно. Не известны доклады, которые шли по линии КГБ, Генерального прокурора и др. Работа по расследованию неоправданно затянулась. Хотя бы общие выводы не были обнародованы и даже не доведены до руководства Военно-Воздушных Сил и Министерства обороны. <…>
Я думаю, что в ходе расследования очень многие почувствовали прямую связь гибели Гагарина и Серёгина с собственной недоработкой. Многие любили погреться в лучах славы, доставшейся космонавтам, пользовались рядом благ, но мало занимались рутинной работой, которая в конечном счёте определяет успех в любом деле».
При расследовании возникали и конфликты — порой весьма острые. Прошёл слух, что подкомиссия №1 собирается «назначить виновными» самих погибших. Лётчики-космонавты Валерий Фёдорович Быковский и Павел Романович Попович обратились с письмом к главе государства Леониду Ильичу Брежневу с просьбой проверить деятельность Правительственной комиссии и остановить попытки «опорочить» имена Гагарина и Серёгина. Летом 1968 года была создана экспертная группа, которая провела дополнительные исследования, однако её отчёт даже не «подшили» к делу.

Лауреат Ленинской премии Лев Кербель за своей новой работой — скульптурным портретом лётчика-космонавта Юрия Гагарина. Москва, 12 октября 1973 года
РГАНТД. Арх. №1-14046
Легенды и версии
Заключение Правительственной комиссии по выяснению обстоятельств гибели Юрия Гагарина и Владимира Серёгина было подготовлено и направлено Устинову 4 сентября 1968 года. После его изучения 28 ноября было выпущено постановление ЦК КПСС и Совета Министров СССР №932-331, в котором принимались выводы комиссии и приказывалось исправить недостатки в работе с космонавтами.
документа были засекречены более чем на сорок лет, что неизбежно породило городские легенды вплоть до утверждений, будто бы Юрий Гагарин и Владимир Серёгин погибли при неудачном полёте на Луну.
Публичное обсуждение версий трагедии началось в марте 1987 года, когда профессор Сергей Михайлович Белоцерковский и лётчик-космонавт Алексей Архипович Леонов, участвовавшие в расследовании, выступили с серией публикаций. Они сообщили, что группа специалистов по динамике полётов Военно-воздушной инженерной академии имени Н.Е. Жуковского произвела ряд расчётов, дублируя их в двух организациях.
Примечательно, что расчёты делались на той же вычислительной машине БЭСМ-2М, на которой Гагарин производил свои исследования по аэродинамике полёта космоплана под условным обозначением «ЮГ».
С помощью моделирования удалось восстановить ход событий. Получив разрешение от руководителя полётов на возвращение, Гагарин должен был сделать разворот с курса 70 на курс 320 со снижением. При этом полёт совершался между двумя слоями облачности при отсутствии видимости естественного горизонта. Далее произошло нечто неожиданное, и МиГ оказался на закритических углах атаки в положении отвесного пикирования.

Вертикальная развёртка траектории полёта самолёта УТИ МиГ-15 Юрия Гагарина и Владимира Серёгина. Рисунок из книги С. Белоцерковского «Первопроходцы Вселенной. Земля-Космос-Земля» (1997)
Тут возможны три причины. Первая — при подходе к верхней границе нижнего слоя облачности, который был весьма «рваный», с «языками» облаков, пилоты могли принять такой «язык» за препятствие (другой самолёт или метеорологический шар-зонд). Нельзя исключить, что там действительно возникло какое-то препятствие — например, стая птиц. Резкое сближение могло привести к манёвру и сваливанию истребителя.
Вторая причина — попадание в след пролетевшего самолёта. С конца крыла у каждого летательного аппарата сбегают так называемые свободные (или концевые) вихри. Известно, что при полёте строем или дозаправке в воздухе не рекомендуется попадать в зону действия концевых вихрей летящей впереди машины — иначе возникает столь мощное воздействие закрученного потока, что справиться с ним очень трудно: самолёт уходит в резкий крен и сваливание.
Третья причина — восходящий вертикальный поток воздуха, который мог изменить характер обтекания истребителя при горизонтальном полёте. С учётом приближавшегося в тот день холодного фронта нельзя исключать подобные явления из анализа.
Вполне могло иметь место сочетание двух или всех трёх перечисленных факторов. Например, может не быть виден естественный горизонт (как в последнем полёте Гагарина), пилотирование затруднено, а пространственная ориентировка ведётся только по приборам, в основном по авиагоризонту.
Однако резкий манёвр, особенно когда он сопровождался выходом на большие углы пикирования, способен привести к серьёзным ошибкам в показаниях авиагоризонта АГИ-1. Правильно оценить своё пространственное положение пилоты смогли бы только при выходе из облачности, то есть на высоте около 400-500 м. Но проблема в том, что для вывода УТИ МиГ-15 из отвесного пикирования такого запаса высоты недостаточно.
На основании изложенного можно попытаться воссоздать картину последней минуты полёта по версии Белоцерковского-Леонова. Доложив руководителю о выполнении упражнений в зоне и получив разрешение на возвращение, Гагарин после нисходящей спирали сразу же начал выполнять разворот. Обычно при таком манёвре происходит постепенное нарастание перегрузки, углов атаки и углов крена. Вблизи верхней границы нижнего слоя облаков самолёт испытал одно из вышеперечисленных «воздействий», что привело к сваливанию на крыло.
Оказавшись в сложнейшей ситуации, оба лётчика не растерялись, а предприняли всё возможное для спасения. В течение нескольких секунд Гагарин и Серёгин согласовано боролись за жизнь, выводя истребитель из пикирования, хотя и находились под перегрузками, скачком увеличившимися до 10-11 g. Им не хватило всего двух сотен метров высоты — двух секунд полёта!

Наиболее вероятные фазы последней минуты полёта УТИ МиГ-15 с указанием затраченного времени. Рисунок из книги С. Белоцерковского «Первопроходцы Вселенной. Земля-Космос-Земля» (1997)
Хотя Белоцерковский утверждал, что сделанные выводы опираются не только на моделирование, но и на архивные материалы расследования, проведённого Правительственной комиссией, появившаяся возможность публично обсуждать ранее запретную тему вызвала критику предложенной реконструкции авиакатастрофы со стороны различных специалистов и появление новых версий, порой весьма причудливых.
К примеру, в книге полковника Эдуарда Александровича Шершера «Тайна гибели Гагарина. Почему падают самолёты» (2006) изложены двадцать восемь (!) версий, включая его собственную. Самые экстраординарные из них связаны с утверждением, будто бы первого космонавта ликвидировали по приказу то ли госбезопасности, то ли главы государства Леонида Брежнева.
Вероятно, первым версию убийства выдвинул венгерский писатель Иштван Немере. В 1990 году почти одновременно в Венгрии и Польше была опубликована его книга «Гагарин — космическая ложь?» (Gagarin = kozmikus hazugsag?). В ней утверждалось, что настоящим первым космонавтом был лётчик-испытатель Владимир Сергеевич Ильюшин, но он был столь плох после орбитального полёта, что его нельзя было показывать народу, поэтому вместо него нашли улыбчивого молодого пилота.
Позднее, когда Гагарин приобрёл всемирную славу и стал проявлять независимость, его устранили из опасения, что он раскроет правду. Нелепость версии Немере очевидна любому здравомыслящему человеку. Что такое мог раскрыть Гагарин, даже если принять предложенное фантастическое допущение за истину? Он не был первым космонавтом? Ну и что? Тогда космонавтом становился бы Ильюшин — тоже советский гражданин и герой.
Куда стройнее выглядела бы версия убийства Ильюшина, который, завидуя Гагарину, собирался рассказать, кто на самом деле был первым космонавтом, но, к неудовольствию любителей страшных тайн, испытатель дожил до марта 2010 года и умер в возрасте 82-х лет.
Тем не менее, версия о ликвидации Гагарина продолжала находить сторонников. Например, к ней начал склоняться Вячеслав Быковский (не путать с космонавтом Валерием Быковским), который в роковой день 27 марта находился в качестве помощника заместителя руководителя полётов на командном пункте аэродрома Чкаловский и зафиксировал исчезновение отметки УТИ МиГ-15 на экране радара.
Впоследствии он утверждал, что отметка исчезла раньше того момента, который был признан Правительственной комиссией временем падения истребителя, поэтому тот, вероятно, взорвался в воздухе. Косвенные подтверждения своей версии Быковский нашёл в показаниях свидетелей катастрофы, которые слышали два громких хлопка перед падением самолёта, а также в том, что поисковым партиям удалось собрать лишь 40% остекления пилотской кабины — куда же делось остальное?
Получается, что кто-то атаковал истребитель извне, запустив по нему зенитную ракету. Но кому могло понадобиться убивать первого космонавта? На этот вопрос взялся ответить некто Борис Волков — в статье «ЭВМ: я твой двойник» (1994) он выдвинул весьма оригинальную конспирологическую теорию.
Оказывается, Гагарин был свободолюбивым человеком, а его взгляды на будущее страны резко расходились с представлениями партийного руководства. В результате он вступил в конфликт с Брежневым, и тот дал понять подчинённым, что от космонавта надо избавиться. При этом личность и память Гагарина были путём специальной методики «скопированы» в мозг похожего человека, а самого его упрятали в закрытую психиатрическую больницу, имитировав авиакатастрофу. Подлинный Гагарин умер в 1990 году, а его «ментальный двойник», вероятно, жив до сих пор!
Похожие допущения можно найти в книге отставного подполковника Бориса Мурасова «Убийство космонавта Юрия Гагарина» (1995). Текст представляет собой довольно сумбурный набор рассуждений автора и фрагментов интервью, которые он взял у непосредственных участников событий. Хотя ничего нового по делу они не сообщили, Мурасов развивает подозрения Быковского в полноценную теорию «антигагаринского» заговора: первый космонавт стал неудобен власти, его самолёт сбили ракетой, а все подлинные документы расследования были изъяты.
Не менее экзотический вариант предложил инженер-испытатель Анатолий Корешков в книге «За стеной секрета» (2010). Он полагает, что кто-то загодя подложил под кресло Гагарина «радиоуправляемую мину». В чём же мотив? Оказывается, первый космонавт конфликтовал с амбициозным сослуживцем — Георгием Тимофеевичем Береговым, который якобы был «внебрачным сыном» Брежнева (!).
Конфликт дошёл до того, что Гагарин пообещал «разобраться» с главой государства, сотрудники госбезопасности восприняли эти слова как угрозу покушения и предприняли соответствующие меры. В подтверждение своей версии Корешков приводит множество нестыковок в показаниях очевидцев, но не удосужился проверить всего одну маленькую деталь: когда будущий лётчик-космонавт Береговой появился на свет, Брежневу было всего 14 лет — в результате рассыпается и всё хитроумное построение.
Проблема подобных теорий в том, что даже людям, которые весьма далеки от специфики деятельности спецслужб, известно, что для ликвидации неугодных используются более простые и надёжные способы: автокатастрофа, несчастный случай, отравление и т.п. Поэтому, если принять версию Быковского-Мурасова-Корешкова за истину, остаётся огромное количество неразрешимых вопросов.

Самолёт УТИ МиГ-15 с подвесными топливными баками, аналогичный последнему истребителю Юрия Гагарина, в Центральном музее Военно-воздушных сил в Монино
Впрочем, принимать её нет необходимости, ведь вариант диверсии рассматривался ещё во время работы Правительственной комиссии. Параллельно с ней следствие вели сотрудники КГБ, которые рассматривали самые экстремальные гипотезы, включая самоубийство экипажа истребителя, но не нашли ничего подозрительного. Но именно они, как утверждает Эдуард Шершер, решились озвучить версию гибели Гагарина, которая выглядит самой простой и напрашивающейся.
Не будучи специалистами в области авиации, офицеры КГБ, тем не менее, обратили внимание на тот факт, что упражнение №2 КБП ИА-67 должно выполняться при простых метеоусловиях или за облаками, причём на обычном УТИ МиГ-15, а космонавту достался самолёт с подвесными баками — более тяжёлый, со смещённым центром тяжести. Самое главное — до рокового дня Гагарин на этой конкретной машине №18 ни разу не летал. Иначе говоря, ещё на аэродроме были созданы предпосылки для развития аварийной ситуации!
Шершер пишет:
«Именно выполнение упражнения №2 КБП ИА-67, предусматривавшего полёт на эволютивной скорости без баков, с баками может сразу привести к сваливанию самолёта в штопор. Без облаков, шаров-зондов, неопознанных самолётов, их спутных струй, потери сознания экипажем и прочего. Достаточно было экипажу строго выполнять задание и начать снижать скорость (с баками безопасная скорость должна быть больше)».
При этом исследователь перекладывает вину за происшествие исключительно на Серёгина, ведь тот знал, что Гагарина как пилота с низкой квалификацией нельзя выпускать в полёт при неблагоприятном прогнозе погоды и тем более на истребителе, который не приспособлен для выполнения упражнений, но сделал это, таким образом приняв всю ответственность за последствия на себя.
Шершер идёт ещё дальше, утверждая, что Серёгин позволил Гагарину «потренироваться» на низкой высоте, после того как было получено разрешение на разворот и возвращение на аэродром, а космонавт не справился с маневрированием и врезался в землю. Более того, пишет Шершер, хотя везде утверждается, что Серёгин был опытнейшим инструктором, в действительности он не имел оформленного по существующим правилам допуска к инструкторской работе и не был подготовлен к действиям при сваливании самолёта.
Версия Шершера с учётом изложенного кажется более убедительной, чем все предыдущие. Однако и она опирается на гипотезу о решении Серёгина провести какие-то дополнительные упражнения на низкой высоте. Может быть, есть вариант ещё проще?

Митинг, посвящённый открытию мемориала в память о лётчике-космонавте Юрии Гагарине и лётчике-испытателе Владимире Серёгине на месте их гибели. Город Киржач Владимирской области, 17 октября 1975 года
РГАНТД. Арх. №1-14024
Кто виноват?
В апреле 2011 года, под давлением общественности, было наконец-то обнародовано заключение Правительственной комиссии. Подводя итог своей деятельности, она утверждала:
«В результате расследования установлено, что аварийная обстановка в полёте возникла внезапно и носила скоротечный характер.
Исходя из анализа обстоятельств лётного происшествия и материалов расследования, наиболее вероятной причиной катастрофы является выполнение резкого манёвра для отворота от шара-зонда или (что менее вероятно) для предотвращения входа в верхний край первого слоя облачности. Резкий манёвр привёл к последующему попаданию самолёта в закритический режим полёта и сваливанию в условиях усложнённой метеорологической обстановки».
Исходя из анализа обстоятельств лётного происшествия и материалов расследования, наиболее вероятной причиной катастрофы является выполнение резкого манёвра для отворота от шара-зонда или (что менее вероятно) для предотвращения входа в верхний край первого слоя облачности. Резкий манёвр привёл к последующему попаданию самолёта в закритический режим полёта и сваливанию в условиях усложнённой метеорологической обстановки».
В документе даже назван шар-зонд, который в принципе мог стать причиной манёвра уклонения. Он был запущен 27 марта в 10:02 сотрудниками Физического института Академии наук и в 10:22 на высоте около 3000 м вошёл в район испытательных полётов аэродрома Чкаловский.
Фактически перед нами — упрощённая версия Белоцерковского-Леонова, что ещё раз указывает на их знакомство с материалами дела. Казалось бы, на этом вопрос можно и закрыть, но Леонов не принял появившиеся в свободном обороте документы, а в 2013 году сделал новое громкое заявление, которое тут же подхватили средства массовой информации.
Прославленный лётчик-космонавт сообщил, что можно быть уверенным: причиной сваливания УТИ МиГ-15 Юрия Гагарина стал истребитель-перехватчик Су-15, выполнявший полёт с аэродрома Жуковский и случайно вошедший в зону маневрирования. Леонов утверждал, что пилот, управлявший истребителем и нарушивший регламент полётов, до сих пор жив, однако назвать его имя отказался, сославшись на «государственную тайну».
Оппонентом космонавта выступил вышеупомянутый Арсений Дмитриевич Миронов, работавший в подкомиссии №1. Он заявил, что доводы Леонова в пользу новой версии опровергаются показаниями жителей деревни Новосёлово, собранными сразу после авиакатастрофы. Ему удалось установить имя испытателя, который совершал в тот день полёт на Су-15 в близкой зоне — Аркадий Павлович Богородский.
Сохранился полётный лист №1028, из которого следует, что этот пилот поднялся в воздух в 9:45, а приземлился в 10:24, то есть за пять минут до того, как Гагарин пошёл на снижение. Версия Леонова окончательно разваливается, если добавить к сказанному, что 20 апреля 1972 года Богородский погиб в испытательном полёте на МиГ-21ПФ.

Горизонтальная проекция траектории движения самолётов с позывными 625 (УТИ МиГ-15 Юрия Гагарина и Владимира Серёгина) и 614 (УТИ МиГ-15 Валентина Андреева). Рисунок из книги С. Белоцерковского «Первопроходцы Вселенной. Земля-Космос-Земля» (1997)
Опровергнув версию космонавта, Миронов, тем не менее, согласился с идеей, что посторонний самолёт, оказавшийся рядом с УТИ МиГ-15, мог стать толчком, побудившим Гагарина совершить манёвр. В статье «Гибель Ю.А. Гагарина. Некоторые заблуждения и важные факты» (2013) он перечисляет нарушения, которые были допущены при подготовке «зачётного» вылета и которые в той или иной степени способствовали развитию катастрофической ситуации:
«Проверяющий, командир полка В. Серёгин, опоздал на полёты. Вылет с Ю. Гагариным произведён на 25-27 минут позже планового времени.
Лётчик другого самолёта МиГ-15УТИ — [майор Валентин] Андреев — взлетел после самолёта Серёгина и Гагарина в плановое время, так что интервал времени между взлётами этих двух самолётов сократился: вместо 30 мин по плановой таблице до менее 5 минут.
Лётчик Андреев в 10 ч 27 мин 10 с доложил: «614, три занял», не указав, в какой зоне полётов он находится. <…>
Службой руководства полётами было зафиксировано ещё при наборе высоты уклонение самолёта Гагарина и Серёгина в сторону соседней зоны, в которой находился самолёт Андреева. Полностью исключить возможность сближения с ним невозможно: после окончания задания Гагарин выходил из своей зоны курсом 320°, будучи занятым переговорами с инструктором, не зная, что в соседней зоне на высоте 3000 м находится другой самолёт.
Косвенным признаком беспокойства РП [руководителя полётов] за сближение служит запрос в 10 ч 32 мин 22 с — «625, как слышите?», в 10 ч 32 мин 30 с — «625, высота?», в 10 ч 33 мин 45 с — «625, высота?»
Внимание подкомиссии [№1] привлекла информация о неподготовленности В. Серёгина к полётам в качестве инструктора на самолёте МиГ-15УТИ. Были отмечены давние сроки его лётных проверок, полное отсутствие в лётной книжке записей о проверках и полётах на больших углах атаки и в штопоре на самолётах этого типа.
К тому же было установлено, что В. Серёгин имел большой опыт полётов на самолёте с авиагоризонтом АГД с подвижным силуэтом самолёта (ВсЗ — вид с земли на воздушное судно), а на самолёте МиГ-15УТИ были авиагоризонты АГИ-1 с принципиально иным видом индикации пространственного положения самолёта — с подвижной линией горизонта (ВсВC — вид с воздушного судна на землю), что в условиях стресса и интенсивного изменения положения самолёта в пространстве могло вызвать неправильную реакцию лётчика».
Лётчик другого самолёта МиГ-15УТИ — [майор Валентин] Андреев — взлетел после самолёта Серёгина и Гагарина в плановое время, так что интервал времени между взлётами этих двух самолётов сократился: вместо 30 мин по плановой таблице до менее 5 минут.
Лётчик Андреев в 10 ч 27 мин 10 с доложил: «614, три занял», не указав, в какой зоне полётов он находится. <…>
Службой руководства полётами было зафиксировано ещё при наборе высоты уклонение самолёта Гагарина и Серёгина в сторону соседней зоны, в которой находился самолёт Андреева. Полностью исключить возможность сближения с ним невозможно: после окончания задания Гагарин выходил из своей зоны курсом 320°, будучи занятым переговорами с инструктором, не зная, что в соседней зоне на высоте 3000 м находится другой самолёт.
Косвенным признаком беспокойства РП [руководителя полётов] за сближение служит запрос в 10 ч 32 мин 22 с — «625, как слышите?», в 10 ч 32 мин 30 с — «625, высота?», в 10 ч 33 мин 45 с — «625, высота?»
Внимание подкомиссии [№1] привлекла информация о неподготовленности В. Серёгина к полётам в качестве инструктора на самолёте МиГ-15УТИ. Были отмечены давние сроки его лётных проверок, полное отсутствие в лётной книжке записей о проверках и полётах на больших углах атаки и в штопоре на самолётах этого типа.
К тому же было установлено, что В. Серёгин имел большой опыт полётов на самолёте с авиагоризонтом АГД с подвижным силуэтом самолёта (ВсЗ — вид с земли на воздушное судно), а на самолёте МиГ-15УТИ были авиагоризонты АГИ-1 с принципиально иным видом индикации пространственного положения самолёта — с подвижной линией горизонта (ВсВC — вид с воздушного судна на землю), что в условиях стресса и интенсивного изменения положения самолёта в пространстве могло вызвать неправильную реакцию лётчика».
Миронов подчёркивает: скорее всего, никогда не будет достоверно установлена причина сваливания УТИ МиГ-15, поэтому нет нужды в «назначении» виновных. Лётчик Андреев даже не видел самолёта Гагарина, что исключает какую-либо злонамеренность.
Конечно, можно обсуждать степень вины Владимира Серёгина и прочих лиц, участвовавших в организации «зачётного» вылета. Но давайте вспомним, кто принимал решение провести внеплановую тренировку. Это генералы Николай Каманин и Николай Кузнецов. И в данном случае мы вполне можем говорить о том, что сработал пресловутый «генеральский эффект».
Под ним понимают возникновение нештатных ситуаций при осуществлении различных демонстрационных мероприятий («показух»): аварии в присутствии «высоких» комиссий возникают потому, что желание выглядеть выгодно в глазах начальства часто перевешивает требования регламента. Каманин и Кузнецов запустили процесс накопления ошибок и нарушений в ту минуту, когда договорились устроить Гагарину ещё одну проверку, в которой по большому счёту не было особой нужды.
Они не учли два момента. Первый — внеплановый полёт будет проводиться на первом попавшемся самолёте; второй — Серёгин не летал с Гагариным как инструктор и не знает реального уровня его подготовки. Развитию аварийной ситуации способствовало и ухудшение погоды: если бы в тот день не назначили «зачётный» вылет, то, вероятно, самостоятельные полёты Гагарина отложили бы до улучшения погодных условий, однако Серёгин считался опытным инструктором, и было решено, что он справится с любой нештатной ситуацией.
Кстати, непосредственную вину Каманина признало и правительство. В постановлении ЦК КПСС и Совета министров СССР №932-331 «О результатах выяснения обстоятельств гибели лётчика-космонавта СССР, Героя Советского Союза полковника Ю.А. Гагарина и Героя Советского Союза инженер-полковника В.С. Серёгина» от 28 ноября 1968 года Николаю Петровичу Каманину был вынесен строгий выговор «за проявленную беспечность и допущенные недостатки в организации и проведении лётной подготовки космонавтов».

Проект мемориального комплекса на месте трагической гибели лётчика-космонавта Юрия Гагарина и лётчика-испытателя Владимира Серёгина
Антон Первушин
Литература:
Новостной сайт E-News.su | E-News.pro. Используя материалы, размещайте обратную ссылку.
Оказать финансовую помощь сайту E-News.su | E-News.pro
Если заметили ошибку, выделите фрагмент текста и нажмите Ctrl+Enter (не выделяйте 1 знак)










